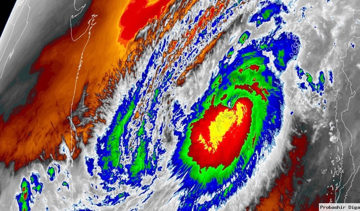
প্রায় সিডরের মতোই শক্তিশালী ঘূর্ণিঝড় মোখা: আবহাওয়া অধিদফতর News News Desk প্রকাশিত: ১:৫৪ অপরাহ্ণ, মে ১৩, ২০২৩ অনলাইন ডেস্ক : ২০০৭ সালে সংগঠিত ভয়ঙ্কর ঘূর্ণিঝড় সিডরের মতোই শক্তিশালী ঘূর্ণিঝড় মোখা। উপকূলে যাওয়ার আগ মুহূর্ত পর্যন্ত মোখা গতি সঞ্চার করতে থাকবে। প্রায় সিডরের সমতুল্য গতিবেগ নিয়ে উপকূলের দিকে ধেয়ে আসছে মোখা। শনিবার (১৩ মে) আবহাওয়া অধিদপ্তরের মিডিয়া সেন্টারে ঘূর্ণিঝড় মোখা নিয়ে আয়োজিত এক ব্রিফিংয়ে এসব কথা জানান অধিদপ্তরের যুগ্ম পরিচালক মো. আসাদুর রহমান। তিনি বলেন, সেন্টমার্টিন, টেকনাফ, উখিয়া অঞ্চলে মোখার প্রভাব সবচেয়ে বেশি পড়বে। এটি যখন তীরে আছড়ে পড়বে তখন বাতাসের গতিবেগ থাকবে ১৬০ কিলোমিটারের বেশি। এর প্রভাবে যে বৃষ্টি হবে, তাতে পাহাড় ধসের শঙ্কা আছে। একটানা আট ঘণ্টার বেশি প্রবল বৃষ্টি হলে পাহাড়ধসের আশঙ্কা থাকে। প্রবল বৃষ্টির হতে পারে বরিশাল ও চট্টগ্রাম বিভাগে। সিলেটেও প্রভাব থাকবে তবে, ঢাকায় কম হবে। আবহাওয়াবিদ ড. মো. আবুল কালাম মল্লিক বলেন, প্রত্যেকটা সাইক্লোনের বৈশিষ্ট্য স্বতন্ত্র। সিডরের সঙ্গে এর তুলনা হলো, যতক্ষণ পর্যন্ত এটা বঙ্গোপসাগরে থাকবে ততক্ষণ পর্যন্ত এর শক্তি ক্রমান্বয়ে বাড়তে থাকবে। উপকূলে যাওয়ার আগ মুহূর্ত পর্যন্ত এটা শক্তি সঞ্চয় করতে থাকে। বর্তমানে সাগরে অবস্থানকালীন মোখার দমকা বাতাসের সঙ্গে যে ঝড়ো হাওয়া বইছে তার সঙ্গে সিডরের মিল রয়েছে। উপকূল অতিক্রম করার সময় কোনো কোনো ক্ষেত্রে বৈশিষ্ট্য, গতিবেগ, দমকা বাতাস বা ঝড়ো হাওয়ার ধরন পরিবর্তন হয়। সে কারণে বাতাসের গতিবেগ কম বেশি হয়। তাই সিডরের মতো হবে এ রকম না বলে প্রায় সিডরের সমতুল্য গতিবেগ নিয়ে মোখা মিয়ানমার ও বাংলাদেশের কক্সবাজার ও সেন্টমার্টিন উপকূলের দিকে ধেয়ে আসছে। সূত্র : বাংলাদেশ প্রতিদিন SHARES জাতীয় বিষয়: প্রকাশক : শারমিন সুলতানা সম্পাদক : মো:সাজ্জাদ হোসেন হৃদয় সহ সম্পাদক : মো:শুভ হাওলাদার। প্রধান উপদেষ্টা : মো: মকবুল হোসেন যুগ্ন উপদেষ্টা : ডা. রিয়াদুল ইসলাম খান বরিশাল ঠিকানা:: বিবির পুকুর পাড় হাবিব ভবন, ৫ম তলা ঢাকা ঠিকানা:: উওরা ১২ নং সেক্টর ৩ নং রোড